Kültür ve Turizm Bakanlığı’na bağlı İzmir 2 Numaralı Kültür Varlıklarını Koruma Bölge Kurulu, Bergama ilçesinde bulunan çok sayıda parsel ve tapulama harici alanda koruma kararına imza attı. İlana göre söz konusu alan ‘Gerdeme Arkeolojik Yerleşim Alanı’ adı ile 3. derece Arkeolojik sit olarak tescil edildi.
GERÇEKİZMİR - Kültür ve Turizm Bakanlığı’na bağlı İzmir 2 Numaralı Kültür Varlıklarını Koruma Bölge Kurulu, İzmir’in UNESCO kenti Bergama’da arkeolojik sit kararına imza attı.
Bergama ilçesi Göçbeyli Mahallesi, Gerdeme Mevkii’nde bulunan tarla niteliğindeki ve şahıs mülkiyetindeki 17 komşu parsel ve tapulama harici bölgede kalan alanlar ‘Gerdeme Arkeolojik Yerleşim Alanı’ adı ile 3. derece Arkeolojik sit olarak tescil edildi.
Kararda şu ifadeler yer aldı:
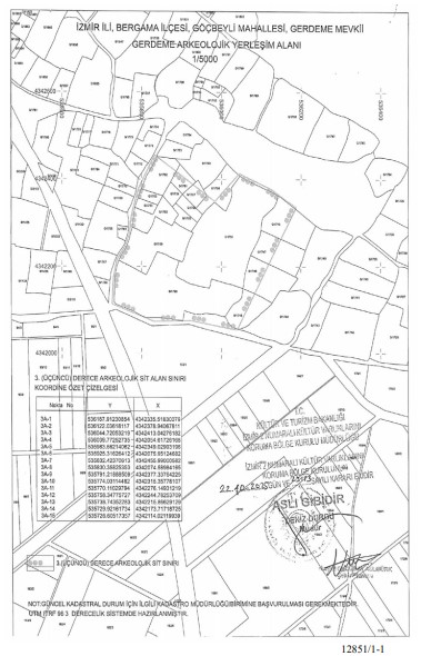
İzmir ili, Bergama ilçesi, Göçbeyli Mahallesi, Gerdeme Mevkiinde, tarla niteliğindeki ve şahıs mülkiyetindeki 1750, 1751, 1752, 1753, 1754, 1755, 1756, 1757, 1758, 1759, 1761, 1762, 1765, 1745, 1746, 1747, 1748 parsel numaralı taşınmazlar ile tapulama harici alanda İzmir 2 Numarah Kültür Varlıklarını Koruma Bölge Kurulu'nun 17.06.2025 tarihli ve 22175 sayılı kararı gereği, Kurul Müdürlüğü uzmanlarınca yapılan yüzey incelemesi kapsamında tespiti yapılan alanın tesciline ilişkin 2863 sayılı Yasa'nın 7. maddesi gereği Kurul Müdürlüğüne iletilmiş olan kurum görüşleri ve konuya ilişkin Kurul Müdürlüğü uzmanlarınca hazırlanan 16.10.2025 tarih ve 3771358 sayı ile kayıtlı rapor okundu, ekleri ve işlem dosyası incelendi, yapılan görüşmeler sonunda;
Izmir ili, Bergama ilçesi, Göçbeyli Mahallesi, Gerdeme Mevkiinde, tarla niteliğindeki ve şahıs mülkiyetindeki 1750, 1751, 1752, 1753, 1754, 1755, 1756, 1757, 1758, 1759, 1761, 1762, 1765, 1745, 1746, 1747, 1748 parsel numaralı taşınmaziar ile tapulama harici alanın kararımız eki 1/5000 ölçekli harita üzerinde işaretlendiği şekli ile "Gerdeme Arkeolojik Yerleşim Alanı" adı ile 3. (üçüncü) derece Arkeolojik sit olarak tescil edilmesine, ekli tescil fişinin uygun olduğuna karar verildi.
